SKLYPAI | KIAULEIKIAI | Kretingos r. sav.
PUŠŲ G., Kiauleikiai | Sklypas | 300 a. | Kretingos r. sav.
Kaina: 50000 € 166.67 €/a.
Skelbimo ID: |
442103 |
Kaina: |
50000 € |
Adresas: |
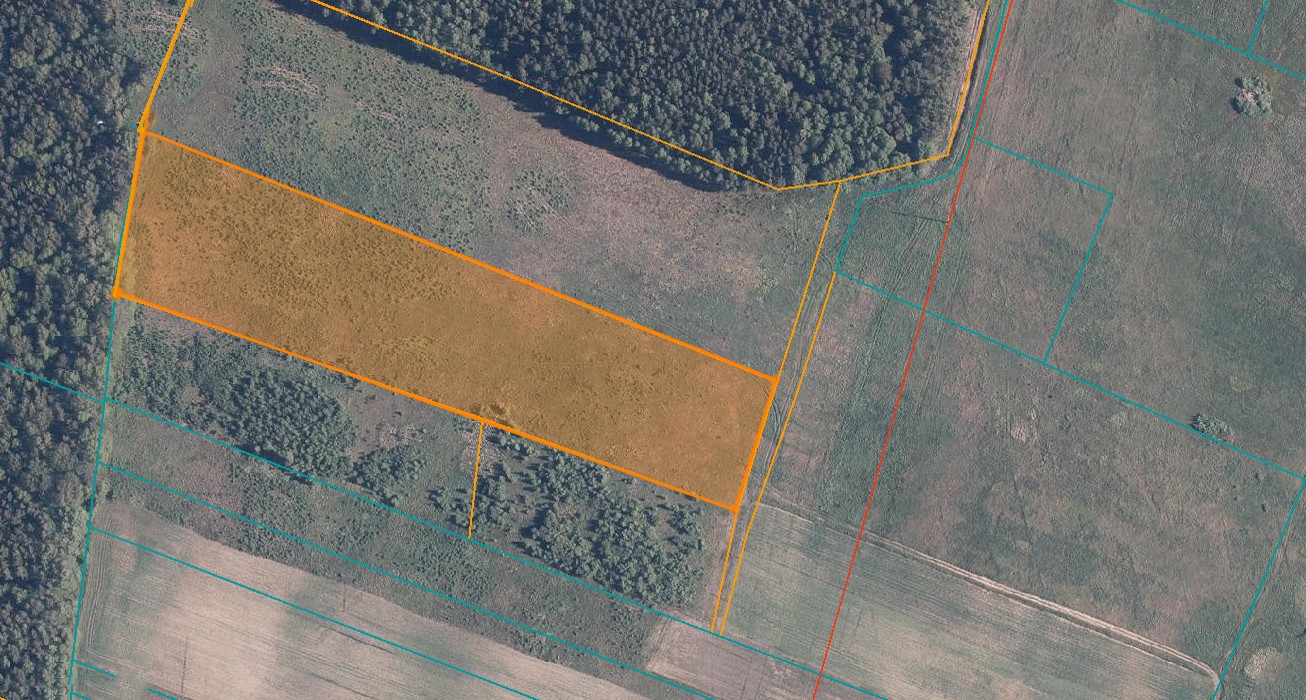
Kiauleikiai, Pušų g., Kretingos r. |
| Pažiūrėti Žemelapyje | |
Sklypo plotas: |
300 a. |
Sklypo paskirtis: |
Žemės ūkiui |
Komunikacijos: |
Nėra |
Aprašymas
3 ha ž.ū.p. sklypas Kiauleikiu k. prie Vidmantų miško ~ 7 km nuo Palangos miesto centro. Kretinga. Vidmantai. Kiauleikių k. parduodamas 3,00 ha žemės ūkio paskirties žemės sklypas, netoli Vidmantų gyvenvietė 4 km iki Palangos centro ~7 km. . Sklypas randasi 1200 m nuo Paražės kaimo, Gražioje vietoje, Vidmantų miško teritorijoje, Įdiali vieta sodybai. SKLYPO DISLOKACIJA IR PAGRINDINIAI PARAMETRAI: Vieta –Vidmantų miškas, Kiauleikiu k., Vidmantai. Kretingos r.; Privažiavimas – iš Pušu g. nuo Paražės k, Vidmantų miško keliu 1200 m; Plotas – 3,000 ha; sklypas; Suformuotas atlieknt preliminarius kadastrinius matavimus. Paskirtis –žemės ūkio; Žemės ūkio naudmenu plotas: 3.000 ha; Ariamos žemės: 3.000 ha; Miško plotas, įregistruotas Miškų registro kadastre: 1.4379 ha; (Įregistruotas nuo 2021-04-02) Sklypo forma – stačiakampis; Iš dvieju pusiu Vidmantų miškas Žemės ūkio naudmenų našumo balas – 32,3 Kaina: 50.000 € Skelbimo ID 414078
Vlada Simonaitienė
+37060027085
+370 46 411673
vlada@avitera.lt

UAB "AVITERA"
Adresas: S. Daukanto 24a, Klaipėda
Tel / Faksas: (8 46) 411673
Mob: +370 60027085
El. paštas: info@avitera.lt



