SKLYPAI | RUSLIAI | Klaipėdos r. sav.
KETVERGIO G., Rusliai | Sklypas | 20 a. | Klaipėdos r. sav.
Kaina: 20000 € 1000 €/a.
Skelbimo ID: |
1317351 |
Kaina: |
20000 € |
Adresas: |
Rusliai, Ketvergio g., Klaipėdos r. |
Sklypo plotas: |
20 a. |
Sklypo paskirtis: |
Namo statybai |
Komunikacijos: |
Nėra |
Aprašymas
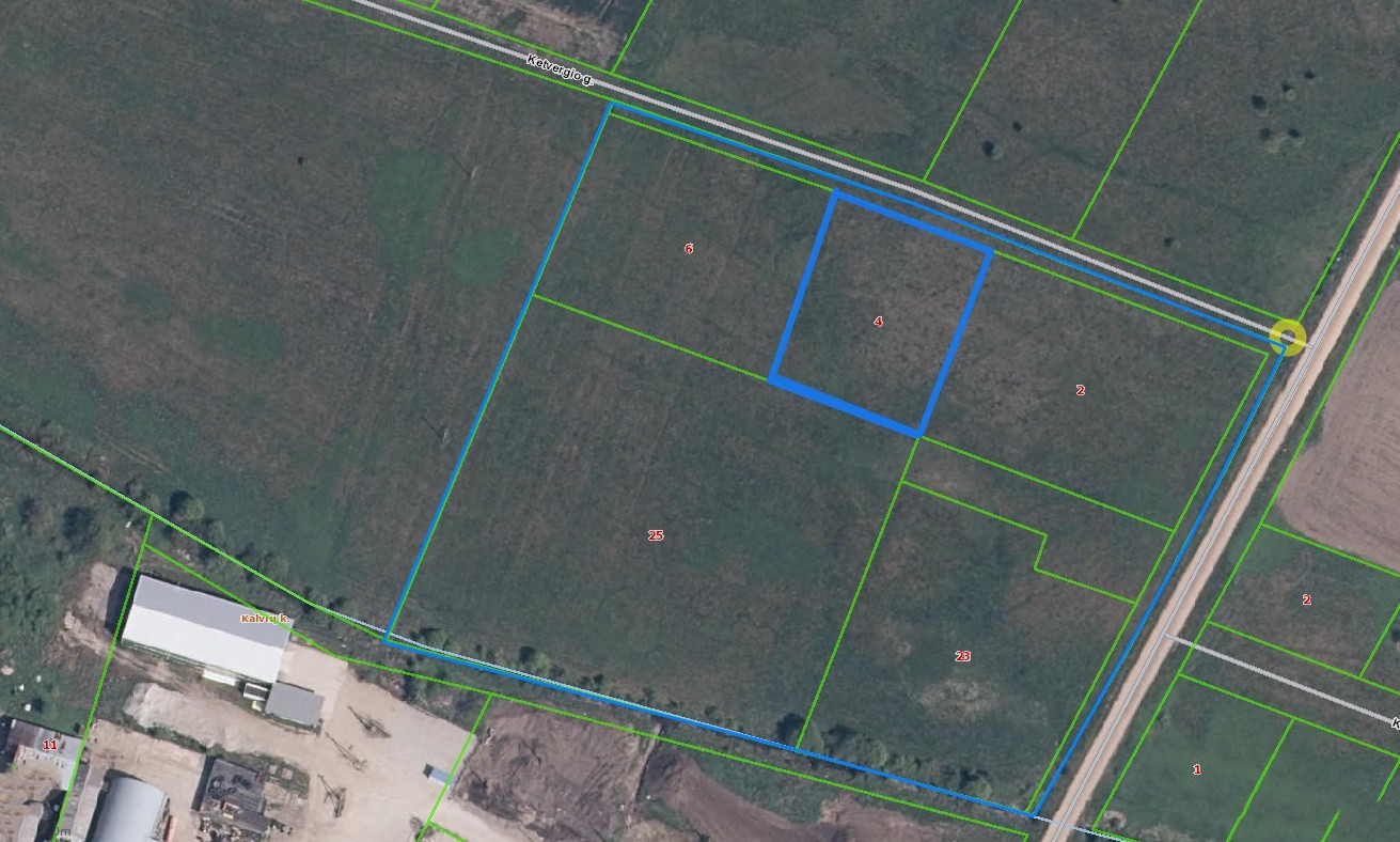
Klaipėdos r. Ketvergiai. Ruslių k. Ketvergio g. 4 parduodamas 20 arų namų valdos sklypas. Kvartale suprojektuoti ir patvirtinti detaliuoju planu 5 sklypų kvartalas, mažaaukščių gyvenamųjų namų statybai. Yra kadastriniai matavimai, sklypų bylos, adresas, gatves pavadinimas Ketvergio g. Graži aplinka, geras susisiekimas yra gatvė iki pat sklypu kvartalo. Parduodamo zemės sklypo vieno aro pardavimo kaina 1000 €./aras. Komunikacių nėra. Parduodamo sklypo kaina 20.000 € Agentūros ID kodas 414401 BENDRA INFORMACIJA: Bendras plotas – 0.2000 ha; Paskirtis – Kita, Gyvenamosios teritorijo Atlikti kadastriniai matavimai; 1 aro Kaina – 1000 € 20 a sklypo kaina 20.000 € NT REGISTRO CENTRO IŠRAŠO DUOMENYS: Sklypo adresas: Klaipėdos r. sav. Ruslių k. Ketvergio g.4 Kadasrtinė vietovė: Lėbartų k.v. Pagrindinė naudojimo paskirtis:Kita; Naudojimo būdas: Mažaaukščių Vienbučių ir dvibučių gyvenamųjų namų statybų teritorijos; Bendras plotas: 0.2000 ha; Žemės ūkio naudmenų našumo balas: 31.0 Žemės sklype įrengtos valstybei prikausančios melioracijos sistemos bei įrenginiai 0.20 ha; Matavimų tipas: Žemės sklypas suformuotas atliekant kadastrinius matavimus KOMUNIKACIJOS: Elektra: NĖRA; Vandentiekis: NĖRA; (Numatytas vietinis kol bus atvesti miesto komunaliniai tinklai); Nuotekos: NĖRA; (Numatytas vietinis kol bus atvesti miesto komunaliniai tinklai); Lietaus kanalizacija: NĖRA ( Pagal Detaliojo plano sprendimus); Grunto statybinis kelias: Ketvergio g. ATSTUMAI: Klaipėda ~ 11 km iki Jakų žiedo Priekulė Centras ~ 12 km Dituvos k. ~ 7 km PRIVAŽIAVIMAS: Privažiavimas – asfaltuotu kelių Klaipėda-Ketvergiai-Agluonėnai-Veviržėnai (N 2202) (Klaipėdos g. iki Ketvergių ir Liepų g. į Ruslių k. Ketvergio g. Netinka šis sklypas? Turiu daugiau pasiūlymų: Gindulių, Mazūriškių, Klipščių, Tauralaukio, Kalotės, Svencelės, Drevernos, Priekulės, Palangos, Kretingos, Gargždų, Šilutės, Rusnės vietovėse. Žemės ūkio, namų valdos, reakreacinės, komercinės, sodybai skirtų sklypų. Parašykite kokio sklypo ieškote, aš Jums atsiųsiu daugiau konkrečių pasiūlymų.
Bendra informacija
Geras privažiavimas
Vlada Simonaitienė
+37060027085
+370 46 411673
vlada@avitera.lt

UAB "AVITERA"
Adresas: S. Daukanto 24a, Klaipėda
Tel / Faksas: (8 46) 411673
Mob: +370 60027085
El. paštas: info@avitera.lt



