SKLYPAI | DOVILAI | Klaipėdos r. sav.
Dovilai | Sklypas | 77 a. | Klaipėdos r. sav.
Kaina: 18000 € 233.77 €/a.
Skelbimo ID: |
1307891 |
Kaina: |
18000 € |
Adresas: |
Dovilai, Klaipėdos r. |
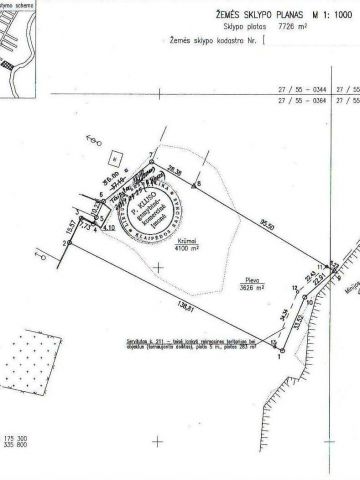
Sklypo plotas: |
77 a. |
Sklypo paskirtis: |
Žemės ūkiui |
Komunikacijos: |
Nėra |
Aprašymas
Parduodamas prie Minijos šalia Gargždų sklypas žemės ūkio paskirties 77 arai labai gražioje vietoje, sklype yra miškelis 40 a. kuriam yra leidimas išpjauti ir pieva ribojai su Minija . Privažiavimas geras žiema valomas sniegas. Kaina 65 000 Lt. Tel.87795954, 860832257
Sidėras
+37067795954
sideras9@gmail.com

IĮ "Sidėras"
Taikos pr. 28-426 kabinetas,
"Vėtrungės pasažas" 4 aukštas
Mob. +37060566749
El. paštas: sideras9@gmail.com


